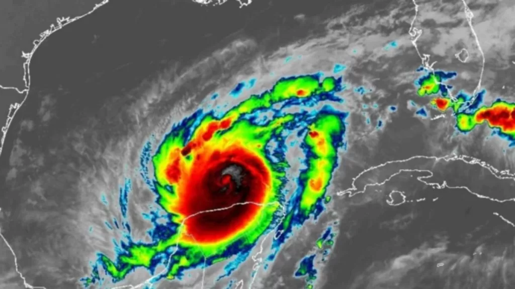
Las impactantes noticias sobre el huracán Milton han dado vuelta el mundo. Y es que no es para menos, considerando que -tal como han previsto los expertos- se espera que el ciclón llegue este miércoles a las costas del estado de Florida, en Estados Unidos, con categoría 5.
Justamente, Lorena Miki, la popular influencer y periodista chilena se encontraba vacacionando en una casa en Riverview, al lado de Tampa, Florida. Su estadía en el lugar se debía a sus ganas de desconectarse un rato. Sin embargo, nunca esperó que ocurrieran los sucesos que hoy acontecen, mucho menos que la tempestad arribara allí con todas sus fuerzas.

Así al menos lo relató en un preocupante registro compartido por ella misma en sus redes sociales. En el video, en el que se lee "Atrapada en el huracán Milton", se puede observar a Miki con los ojos llorosos y bastante angustiada ante la situación.
Sigue a FMDOS.CL en Google Discover
Recibe nuestros contenidos directamente en tu feed.
La preocupante experiencia de Lorena Miki en el huracán Milton
"Ya me lo he llorado todo, ya no me quedan más lágrimas", comienza relatando en su post la influencer. "Me tomé un par de semanas de vacaciones, porque quería estar tranquila. Necesitaba relajarme, estar feliz, desconectarme del mundo", explicó en su perfil de Instagram.
"Y ahora no me puedo devolver a Chile hasta una semana más porque está el huracán Milton. Estoy sola... He gastado una cantidad de plata que ya no tengo. Encerrada aquí con las paredes con esto", agregó Lorena, mostrando por la ventana las tablas de madera que protegen la casa que está hospedando.

A pesar de que Miki intentó volver a nuestro país, sus intentos fueron en vano. "El huracán llegaba el miércoles a eso de las 20 horas y yo tenía vuelo a las 17 horas. Pensaba que alcanzaba a irme justo, que tenía buena suerte... y acá estamos", dijo para LUN.
"Ya me avisaron desde la aerolínea que los vuelos recién se reanudarán el 14 (de este mes) si es que el aeropuerto no sufre daños. Intenté tomar un vuelo que salía este martes, pero no alcanzaba a llegar por los tacos", añadió con respecto a las consecuencias que ya ha traído el huracán Milton.
Por esta misma razón, ha tratado de comprar provisiones para pasar los siguientes días, aunque esto no la ha salvado de la enorme preocupación que siente. "Compré fideos, arroz… Me sentí rara con la situación porque es algo que en Chile nunca vivimos", confesó para La Tercera.
Por todo eso, la verdad es que estoy muy asustada (...) veo la desesperación de las personas, tapando las ventanas (...) de verdad se siente como vivir el fin del mundo", cerró.
